【期間限定】自分の血液で肌再生「ACRS」キャンペーン中です
2026.02.08
ゆみ美容皮膚科クリニック院長の中山由美です😊
今日は当院で人気の肌再生治療 ACRS(自己血サイトカインリッチ血清) の症例をご紹介します!
ACRSとは?
ACRSとはご自身の血液から抗炎症性サイトカインを豊富に含んだ血清をつくり、肌に注入する再生医療的アプローチです。
血液から肌再生する方法としてはほかにPRPがありますが、ACRSの方が炎症を抑える効果が強く、ハリ・キメ・毛穴・しみ・小じわなど肌質全体の若返りが期待できます✨
ACRSを気に入ってくださり、半年~1年ごとのペースで行いました。
*他の治療は行っておらず、ACRS単独の効果です。

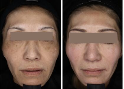
💠 Before(治療前)
治療前は…
- 目の下の小じわ
- 肝斑・しみ
- ハリ感の低下
- 肌全体のくすみ
が気になる状態でした。
目元の細かな線や肌全体のくすみ感が、見た目の印象を老けて見せてしまっていました。
✨ After 1回目終了後
色も質感も改善。
1回でも実感が出るのがACRSの特徴です😊
🌟 After 5回目終了後
そして、5回終了後の変化がこちら👇
- 小じわがさらに浅くなり目立ちにくく
- 肝斑・しみの色調が薄くなった
- 毛穴のキメが整って滑らか感が増した
- 肌全体の若々しさが底上げ
5回継続することで、肌全体の透明感とハリ感が格段にアップし、化粧のりもぐっと良くなられました。
私の考察
ACRSは1回でも変化がわかる治療ですが、継続することで肌質が底上げされていきます。
今回の症例では、5回継続したことで年齢によるくすみ・ハリ感・小じわがより改善され、肌全体の印象が若々しくなりました✨
(この間、美白治療や他施術は行っていないため、ACRS単独の効果です。)

ACRSのポイント
- 自分の血液でつくるからアレルギーリスクがゼロ
- 抗炎症性サイトカインで内側から肌を整える。炎症が老化の根源なので、老化しにくいお肌をつくります!
- 継続することで肌の底力が上がる
いまACRSキャンペーン中です。
ACRSキャンペーン


ACRS(ドクターによる水光注射+気になるところ手打ち)
\165,000→\143,000
ご相談・ご予約はお気軽に💕
ACRSは肌質改善を本気で目指したい方にぴったりの治療です😊
